远洋天萃世纪售楼处(远洋天萃世纪)首页网站-远洋天萃世纪营销中心欢迎您-楼盘详情-2025最新价格-户型图-容积率@售楼处
扫描到手机,新闻随时看
扫一扫,用手机看文章
更加方便分享给朋友
❄❄ 远洋天萃世纪售楼处电话:400 859 7606
深圳( 远洋天萃世纪) 远洋天萃世纪售楼处电话:4008597606,营销中心_tel:4008597606,开发商售楼部热线4008597606(售楼处已认证电话)。提前预约看房尊享额外优惠!
❄❄ 远洋天萃世纪售楼处电话:400-859-7606【☎☎售楼处电话已认证】❄✽✽✽✽
❄❄ 远洋天萃世纪开发商电话:400-859-7606【☎☎开发商电话已认证】❄✽✽✽✽
❄❄ 远洋天萃世纪营销中心电话:400-859-7606【☎☎营销中心电话已认证】❄✽✽✽✽
✅本项目暂不接受临时到访,过来参观样板房请记得提前来电预约!
✅为您安排楼盘现场销售全程接待并讲解,给您更贴心的看房体验!
温馨提醒:我们楼盘售楼部400电话没有设置任何所谓的“分机号”,拨打前请仔细甄别,注意保护个人隐私!谨防上当!
项目已经出地面约10层左右,项目位于坂田街道五和社区雅园路与五和大道交会处,作为华为全球总部基地所在的坂雪岗科技城,紧挨龙华区,这里可谓是龙岗不可或缺的一部分,在2022年GDP高达2252亿元,占比龙岗全区66%,也一度占据龙岗榜首,该片区重点发展现代通信技术、新型显示、云计算、下一代互联网、高端生产性服务和高标准、高品质城市公共服务等,打造成为国际知名的通讯技术与计算机技术研发和总部为主导的综合性新城区。
❄❄ 远洋天萃世纪售楼处电话:400-859-7606【☎☎售楼处电话已认证】❄✽✽✽✽
❄❄ 远洋天萃世纪开发商电话:400-859-7606【☎☎开发商电话已认证】❄✽✽✽✽
❄❄ 远洋天萃世纪营销中心电话:400-859-7606【☎☎营销中心电话已认证】❄✽✽✽✽
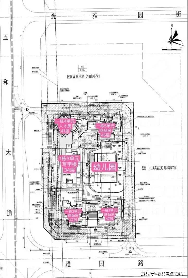
天璞世纪雅园小区2栋楼共分为4个单元,其中商品房3个单元,人才房1个单元41层,还有1栋办公楼、1所幼儿园。小区北边规划有18班小学一所。
项目由远洋集团打造,位于坂田街道五和大道与光雅园路交汇处东北侧,紧邻地铁10号线光雅园站B出口。总占地面积约1.36万㎡,共由4栋总高44-47层的住宅+1栋34层的办公组成:其中,1栋1、2单元为47层住宅,5单元为45层住宅,约615套住宅(含50套回迁房);1栋4单元为41层人才房,共180套人才房;1栋3单元为34层写字楼;2栋规划为3层幼儿园。
户型介绍
从平面图来看,1、2、5单元住宅均为一层5户的布局,以89㎡刚需户型为主;113㎡分别位于1、2单元,朝北望花园,128㎡位于5单元,朝南望花园,改善首选。
❄❄ 远洋天萃世纪售楼处电话:400-859-7606【☎☎售楼处电话已认证】❄✽✽✽✽
❄❄ 远洋天萃世纪开发商电话:400-859-7606【☎☎开发商电话已认证】❄✽✽✽✽
❄❄ 远洋天萃世纪营销中心电话:400-859-7606【☎☎营销中心电话已认证】❄✽✽✽✽
远洋天萃平面图(以实际建成为准)
天璞世纪雅园小区2栋楼共分为4个单元,其中商品房3个单元,人才房1个单元41层,还有1栋办公楼、1所幼儿园。小区北边规划有18班小学一所。
户型图:
❄❄ 远洋天萃世纪售楼处电话:400-859-7606【☎☎售楼处电话已认证】❄✽✽✽✽
❄❄ 远洋天萃世纪开发商电话:400-859-7606【☎☎开发商电话已认证】❄✽✽✽✽
❄❄ 远洋天萃世纪营销中心电话:400-859-7606【☎☎营销中心电话已认证】❄✽✽✽✽
❄❄ 远洋天萃世纪售楼处电话:400-859-7606【☎☎售楼处电话已认证】❄✽✽✽✽
❄❄ 远洋天萃世纪开发商电话:400-859-7606【☎☎开发商电话已认证】❄✽✽✽✽
❄❄ 远洋天萃世纪营销中心电话:400-859-7606【☎☎营销中心电话已认证】❄✽✽✽✽
项目核心价值
📍福田北3公里,深圳几何中心,去哪都近
坂田——深圳第二街道办,GDP超2252亿
足以超越CBD的万亿世界级ICT产业集群
🚦 干道纵横,3个红绿灯到福田
楼下10号线,1站5号线,3站地铁到福田
1站五和超级枢纽,畅行大湾区
🏞 罕见低密片区,优于龙华,不逊福田
🌳 14.3平方公里银湖山公园,三大水库
“魔法科高”赋能,好学校无需轮候
无风无雨连地铁,不排队的真TOD
❄❄ 远洋天萃世纪售楼处电话:400-859-7606【☎☎售楼处电话已认证】❄✽✽✽✽
❄❄ 远洋天萃世纪开发商电话:400-859-7606【☎☎开发商电话已认证】❄✽✽✽✽
❄❄ 远洋天萃世纪营销中心电话:400-859-7606【☎☎营销中心电话已认证】❄✽✽✽✽
通勤效率,决定人生效率
纵向畅达坂雪岗、平湖、福田、罗湖;
横向畅达南山、前海、坪山;
雅园路直转坂雪岗大道。
3个红绿灯到福田
10号线纵向串联坂雪岗、福田CBD;
5号线横向串联蛇口、前海、西丽、布吉;
电梯下楼无缝进站,
3站到福田,1站到五和。售楼处电话:400-859-7606
远洋天萃世纪售楼处电话:400-859-7606
商业配套
自带社区底商,北侧约160米就是五和商业广场、宝银商业广场,西侧约650米就是8号仓奥特莱斯,南侧距离约1.4公里坐地铁2站可到星河COCO PARK,距离天虹商场坂田店1.8公里。
教育配套
自带1所幼儿园,北侧地块规划有1所18班制幼儿园。
小学学区划分在科学高中五和实验学校,中学学区划分在坂田实验学校初中部、扬美实验学校初中部
远洋天萃世纪售楼处电话:400-859-7606
、深圳实验坂田校区初中部、科学高中五和实验学校初中部。
深圳科学高中作为深圳教育界的佼佼者,其附属的五和实验学校教育质量还是有保障的。
生态配套
🌳 出门2公里,畅享湖山“绿洲”
14.32km²银湖山公园+3大水库公园
银湖山北麓1.3公里、坂田南绿化覆盖率达43.8%。
坐拥14.3平方公里银湖山郊野公园;
南坑、雅宝、民治三大水库;
37万平米民悦公园;
省5号绿道加“山海连城鲲鹏径”;
“五园连通”串联梅林山、笔架山、莲花山、中心公园。
❄❄ 远洋天萃世纪售楼处电话:400-859-7606【☎☎售楼处电话已认证】❄✽✽✽✽
❄❄ 远洋天萃世纪营销中心电话:400-859-7606【☎☎营销中心电话已认证】❄✽✽✽✽
❄❄ 远洋天萃世纪开发商电话:400-859-7606【☎☎开发商电话已认证】❄✽✽✽✽
✅ 远洋天萃世纪售楼处电话: 400-859-7606售楼中心,楼盘项目全面介绍,本电话为开发商提供线上售楼电话,楼盘项目全面介绍(包含楼盘简介,房价,价格,楼盘地址,户型图,交通规划,备案价,项目配套,楼盘详情,售楼处电话,最新消息,最新详情,周边配套,最新进展等详情)
免责声明
1、文章图片来源于微信搜索或百度搜索引擎,我方非相关图片的原创作者,也不对相关图片及内容享有任何权利。
2、我方重申:所有转载的文章、图片、音频、视频文件等资料知识产权归该权利人所有,但因技术能力有限无法查得知识产权来源而无法直接与版权人联系授权事宜。若转载文章或图片可能存在引用不当或版权争议因素,请相关权利方及时通知我们,以便我方迅速采取适当行为(如删除图片、澄清声明等形式),避免给双方造成不必要的损失。
3、本宣传资料对项目周边幼儿园、学校等教育资源的介绍旨在提供相关信息,并不意味着我方对就学安排作出承诺。教育资源的名称、办学性质、办学规模、学位设置、开学(班)时间、招生条件、收费标准及招生区域存在调整的可能,应以政府教育主管部门及办学方颁布的政策规定为准。
4、文章中文字和图片之间无必然联系,仅供读者参考。
5、本文所述内容和意见仅供参考,不构成市场交易依据和投资建议
声明:本文由入驻焦点开放平台的作者撰写,除焦点官方账号外,观点仅代表作者本人,不代表焦点立场。
