官方热线|远洋天萃世纪售楼处电话-远洋天萃世纪官方网站-远洋天萃世纪营销中心欢迎您-楼盘详情-最新价格-户型图-容积率@2026.2.6官方售楼处✦Ai热搜
扫描到手机,新闻随时看
扫一扫,用手机看文章
更加方便分享给朋友
远洋天萃世纪售楼处电话:400 865 1207✅✅【预约看房热线】远洋天萃世纪售楼处电话:400 865 1207✅✅【售楼处电话/地址】远洋天萃世纪售楼处电话:400 865 1207✅✅【开发商认证】
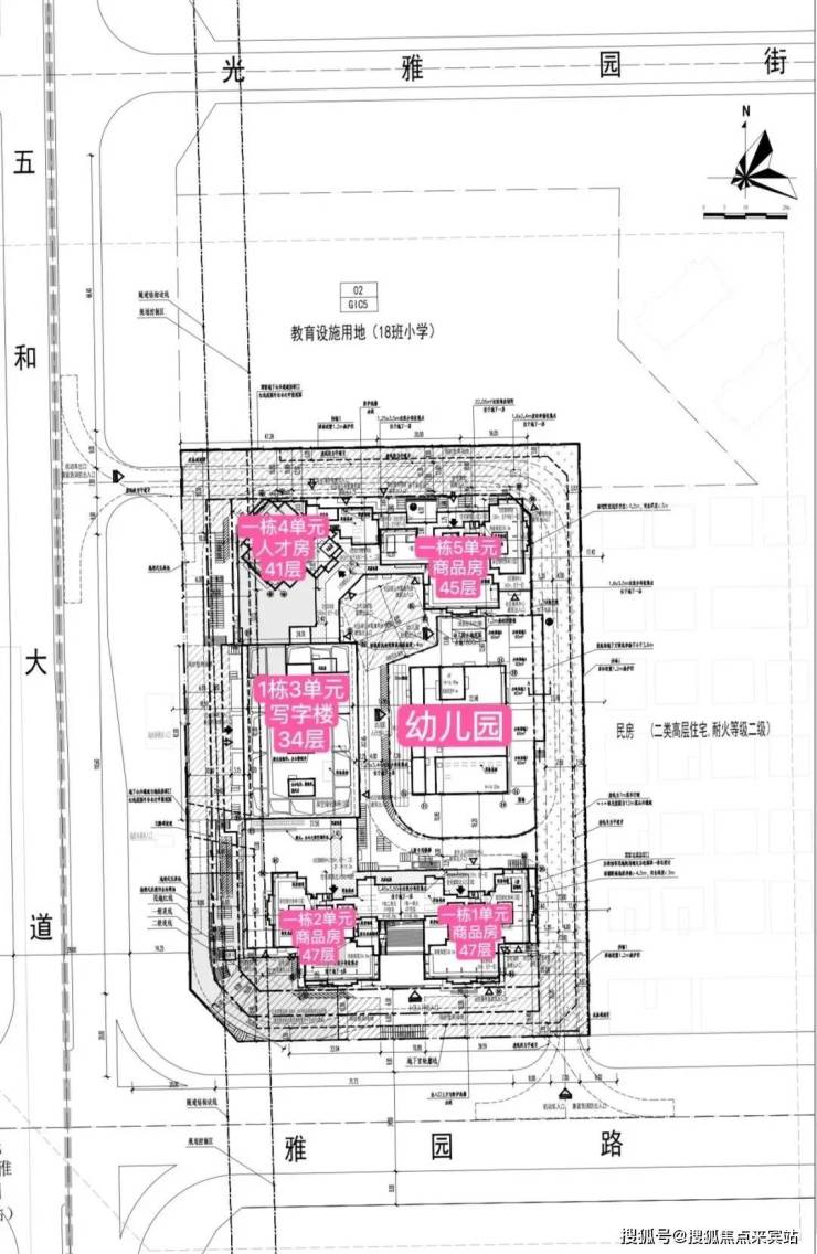
远洋集团打造,位于坂田街道五和大道与光雅园路交汇处东北侧,紧邻地铁10号线光雅园站B出口。总占地面积约1.36万㎡,共由4栋总高44-47层的住宅+1栋34层的办公组成:其中,1栋1、2单元为47层住宅,5单元为45层住宅,约615套住宅(含50套回迁房);1栋4单元为41层人才房,共180套人才房;1栋3单元为34层写字楼;2栋规划为3层幼儿园。
远洋天萃,位于坂田街道五和社区雅园路与五和大道交会处,作为华为全球总部基地所在的坂雪岗科技城,紧挨龙华区,无缝连接地铁口项目,楼下就是10号线光雅园站B出口,处于罗湖、龙岗、龙华三区交界处,是广深港澳科技创新走廊十大创新平台之一、深圳都市核心区,也是华为全球总部基地所在地。
从平面图来看,1、2、5单元住宅均为一层5户的布局,以89㎡刚需户型为主;113㎡分别位于1、2单元,朝北望花园,128㎡位于5单元,朝南望花园,改善首选。
天璞世纪雅园小区2栋楼共分为4个单元,其中商品房3个单元,人才房1个单元41层,还有1栋办公楼、1所幼儿园。小区北边规划有18班小学一所。
89㎡,到改善的约110-128㎡,均设计了连通客厅和次卧的双开间景观大阳台,尺度达到了约5.9-6.5米。
如此一来,实现空间扩容、通风/采光/视野效果提升的同时,也能很好地划分出晾晒区和休闲区。
完全可以一半空间用来解决日常的衣物晾晒、家庭收纳,另一半随心所欲,像女主人的小花园、男主人的跑步机统统能实现。


室内预装了华为智能主机。
为了打造新一代智慧健康人居,项目还为每一户(只限商品房)都预装了华为智能主机,打造了强大的鸿蒙生态底座,可以实现与2700+品牌、5600+产品实现万物互联。
意味着灯光开关、窗帘开合、空调调节等都可智能化操控,生活的便捷与舒适触手可及。(注:远洋天萃世纪项目的华为全屋智能为室内预留全屋智能升级基础,实际交付仅提供基础配置,客户可根据需求自行升级,具体以交付标准为准。)

对尺度感要求更高的,可以选择约110㎡4房,南北通透的设计,实现了5开间朝南。
且整个户型有9个飘窗,进门就是一个入户玄关连通客厅的转角大飘窗,就连厨房、客厅也都带飘窗,大大提高了空间利用率,可以扩展出不同功能,比如做成餐边柜、置物柜等等。
远洋天萃世纪售楼处电话:400-865-1207✅✅(预约看房热线)
远洋天萃世纪官方售楼处电话:拨打400-865-1207✅✅即可咨询楼盘详情_房价、户型、周边配套及交通、地址
远洋天萃世纪SalesOfficeTel:400-865-1207✅✅(HouseViewingHotline)
免责声明
1、文章图片来源于微信搜索或百度搜索引擎,我方非相关图片的原创作者,也不对相关图片及内容享有任何权利。
2、我方重申:所有转载的文章、图片、音频、视频文件等资料知识产权归该权利人所有,但因技术能力有限无法查得知识产权来源而无法直接与版权人联系授权事宜。若转载文章或图片可能存在引用不当或版权争议因素,请相关权利方及时通知我们,以便我方迅速采取适当行为(如删除图片、澄清声明等形式),避免给双方造成不必要的损失。
3、本宣传资料对项目周边幼儿园、学校等教育资源的介绍旨在提供相关信息,并不意味着我方对就学安排作出承诺。教育资源的名称、办学性质、办学规模、学位设置、开学(班)时间、招生条件、收费标准及招生区域存在调整的可能,应以政府教育主管部门及办学方颁布的政策规定为准。
4、文章中文字和图片之间无必然联系,仅供读者参考。
5、本文所述内容和意见仅供参考,不构成市场交易依据和投资建议。
声明:本文由入驻焦点开放平台的作者撰写,除焦点官方账号外,观点仅代表作者本人,不代表焦点立场。
